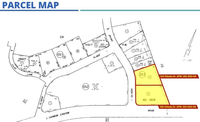
Versatile Multi-Building Commercial Property. An exceptional opportunity to acquire a multi-use commercial property featuring three separate buildings totaling approximately 8,795 square feet situated on two separate parcels. The combined land area encompasses 58,998 square feet, offering generous on-site parking and ample space for future expansion or redevelopment. Zoned Neighborhood Commercial (NC), this property provides flexibility for a wide range of potential uses. Ideal for an owner-user, religious facility, school, daycare, community center, or other institutional or service-oriented operations. This property’s layout, location, and zoning make it a rare find for organizations or businesses seeking a campus-style setting with room to grow. This property features 2 separate parcels and include addresses 102 and 114 Olinda Dr. Excellent visibility inside Carbon Canyon with a high traffic count and close proximity to the 57 freeway and Chino Hills corridor.
Commercial For Sale
102 OlindaDrive, Brea, California, 92823
 
- Rina Maya
- 858-876-7946
- 800-878-0907
- 
Questions@unitedbrokersinc.net 
 
 
                     
                     
                     
                     
                     
                     
                     
                     
                     
                     
                     
                     
                     
                     
                     
                     
                     
                     
                     
                     
                     
                     
                     
                     
                     
                     
                     
                    